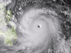
Տրոպիկական “Զորայդա” փոթորիկն ուղղություն է վերցրել դեպի Ֆիլիպիններ: Կանխատեսումների համաձայն, այն կկրկնի “Հայանի” ուղին:
Ներկայում “Զորայդան” գտնվում է հարավային կղզիներից 160 կմ հեռավորության վրա: Օդերևութաբանների գնահատմամբ, այն Ֆիլիպինների ուղղությամբ առաջանում է 30 կմ/ժամ արագությամբ:
“Հայան” թայֆունից, որի արագությունը հասնում էր 100 մ/վայրկյանի, ալիքների բարձրությունն էլ 6 մետրի, Ֆիլիպիններում զոհվեց 10 հազար մարդ:
ՄԱԿ-ը 25 մլն դոլար է հատկացրել Ֆիլիպիններում թայֆունից տուժածներին օգնության նպատակով:
Tags: "Զորայդա"